Sigur frá keðiligum veðri um vikuskiftið

Sagt er frá keðiligum veðri um vikuskiftið. Forsagnirnar seinastu dagarnar hava ikki verið heilt samdar, hvussu viðurskiftini í lufthavinum skulu væntast at broytast.

Veðurstova Føroyar skrivar, at ikki óvæntað er tað veðrið 3-5 dagar fram, har óvissan hevur verið størst.

 

Í veðursendingini í sjónvarpinum mánakvøldið segði Turið um veðrið fríggjakvøldið, at tað fór at vera stormur av landsynningi, 23 m/s. Dagin eftir fór hann niður í sunnan, men sama vindferð, 23 m/s. Hon legði í sendingi afturat, at modellini vóru ósamd, og tað kundi fara at broytast nokkso nógv.  

 

Bert eitt samdøgur seinni, tað var í veðursendingini týskvøldið, var sjón fyri søgn. Forsøgnin fyri vikuskiftið var broytt – og ikki bara eitt lítið sindur. Jari segði nú frá hvøssum vindi av landsynningi fríggjadagin, 15 m/s, og leygardagin upp ímóti skriði, 17 m/s, av landnyrðingi.

 

Í veðursendingini í sjónvarpinum í kvøld fer hon at siga um veðrið fríggjakvøldið, at vindurin fer at veksa av landnyrðingi úr frískum loti upp í skrið – t.e. úr 10 m/s upp í 20 m/s – og at allur leygardagurin fer við skriði ella vindi upp í storm norðan og av útnyrðingi, upp í 23 m/s onkra løtu.  

 

##med2##

 

Hví broytast forsagnirnar so nógv viðhvørt?

 

Tá ið lágtrýst ganga beint á okkum – ella næstan – er ikki lætt at gera forsagnir langt fram. Fer lágtrýstið eystureftir beint norðanfyri ella sunnanfyri – ella fer tað beint tvørtur um oyggjarnar, skal bert lítið broyting í gongdini til at broyta veðrið munandi í Føroyum. Ístaðin fyri norðan fáa vit sunnan, turt ístaðin fyri regn o.s.fr.

 

Fer lágtrýstið t.d. í landnyrðing vestan fyri Ísland – ella tað fer í landnyrðing tvørtur um Ísland – hevur tað ikki stóra broyting í veðrinum við sær her í Føroyum. Vindurin kann vera eitt sindur meiri ella minni, og løtan tá ið brúgvalagið fer framvið, og hann fer at støkka vesturum, verður framskundað ella útsett.  

 

Tað er ikki so ókent, at tað er soleiðis her hjá okkum.

 

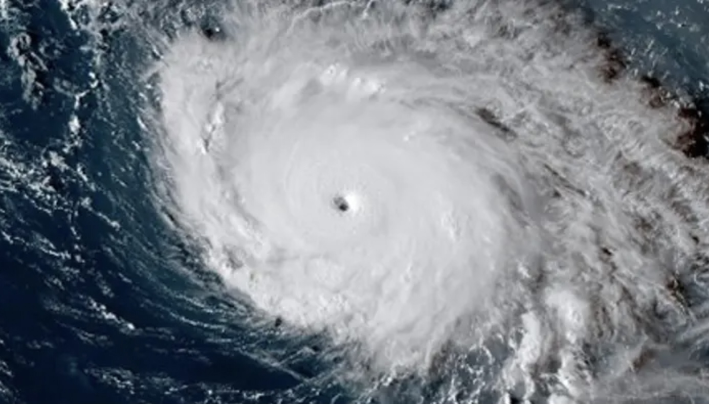
Humberto kemur hendanvegin

 

Tað er leivdirnar av tropisku ódnini, Humberto, sum fer at órógva okkum vikuskiftið. Fótbóltsdystir eru fluttir bæði aftur og fram.

 

Tað tók seg upp næstsíðsta fríggjadag vestan fyri Afrika og fór eina beina leið vestureftir. meðan trýstið í miðjuni minkaði. 6 dagar seinni – tað var síðsta mikudag, 24. septembur – var vindferðin komin upp í storm, og hósdagin var ódn í flokki 1 – t.e. millum 33 og 42 m/s.

 

##med3##

 

Meðan Humberto nærkaðist eysturstrondini av USA, mentist hon upp í flokk 5 – t.e. meiri enn 70 m/s. Tað tók ikki langa tíð, til megin fór at minka, og fyrradagin var vindferðin komin niður í storm. Tá var lágtrýstið komið norður ímóti 30 stigum norður, og køld luft úr Norðurkanada fór at blanda seg uppí. 

 

Haðani hevur tað beina kós ímóti Føroyum, og vit fara at merkja tað seinnapartin fríggjadagin. Vindurin fer at veksa eystaneftir og fram ímóti kvøldið gongur hann upp í norðan, og so er ilsligt veður allan leygardagin.

 

##med4##

 

Leygarkvøldið og sunnunáttina eru leivdirnar av Humberto farnar so mikið langt eystureftir, at veðrið í Føroyum fer at batna so við og við.

 

Á Veðurstovu Føroya verður fylgt væl við veðrinum alt árið, ikki minst tá ið djúp lágtrýst við vindi og regni koma hendavegin. Bert lítil broyting í gongdini kann hava stóra broyting í veðrinum við sær. Her situr Turið Laksá, veðurfrøðingur og fyrireikar seg til sjónvarpsveðrið í kvøld. Tey nýggjastu tølini og nýggjastu og forsagnirnar eru á skermunum. Mynd: Hanus Kjølbro.

Tvær tropiskar ódnir á somu mynd. Taðhendir viðhvørt. Týsdagin var hendan myndin tikin av ódnunum Imelda (tv) og Humberto (th). Mynd: NOAA via AP.

Á Veðurstovu Føroya verður fylgt væl við veðrinum alt árið, ikki minst tá ið djúp lágtrýst við vindi og regni koma hendavegin. Bert lítil broyting í gongdini kann hava stóra broyting í veðrinum við sær. Her situr Turið Laksá, veðurfrøðingur og fyrireikar seg til sjónvarpsveðrið í kvøld. Tey nýggjastu tølini og nýggjastu og forsagnirnar eru á skermunum. Mynd: Hanus Kjølbro.